The Ly Son Marine Protected Area has a total natural marine area spanning 7,113 hectares, consisting of a strictly protected zone of 620 hectares, an ecological restoration zone of 2,024 hectares, and an administrative service zone of 4,469 hectares.
Many conservation activities
Nguyen Duc Binh, Deputy Director of the Quang Ngai Department of Agriculture and Rural Development (DARD), shared that the Ly Son Marine Protected Area was established in early 2016. Each year, the province develops and implements management plans to protect the marine reserve, yielding many important results.
Specifically, efforts to promote legal regulations on marine conservation, management of exploitation and biodiversity protection, and protection of marine fishery resources have initially changed the awareness of the fishing community.
Regular patrols and monitoring are carried out to promptly prevent illegal activities within the marine protected area. Resource mobilisation and cooperation with the International Union for Conservation of Nature (IUCN) have helped management staff, volunteers and local residents in raising awareness about preventing, controlling and reducing marine environmental pollution.
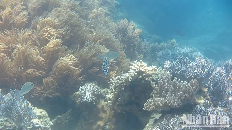
![]() |
| The Ly Son Marine Protected Area, a precious gem of marine biodiversity in Quang Ngai. |
For example, in the field of biodiversity conservation and fishery resource protection, the Ly Son Marine Protected Area management board has led and coordinated with specialised agencies to implement four research tasks, including: monitoring coral reef biodiversity; monitoring and evaluating seagrass biodiversity; surveying and assessing resources and proposing solutions for protection, development and sustainable exploitation of turban snails in Ly Son; and releasing 40,000 black teat fishes, true conchs and maculated ivory whelks into the ecological restoration zone.
They have also restored a dry specimen of a rare sea turtle in the Dermochelyidae family that was caught in fishermen’s nets. This critically endangered specimen is on display for educational purposes, helping local residents, staff and tourists to Ly Son learn more about the importance of sea turtles and raise awareness about protecting endangered wildlife. Additionally, they have organised diving operations to collect and dispose of hundreds of kilogrammes of crown-of-thorns starfish from coral reef areas within the strictly protected zone.
![]() |
| Restoring a rare leatherback turtle specimen for display to raise community awareness about protecting endangered wildlife. |
At the same time, the Ly Son Marine Protected Area management board has collaborated with the Nha Trang Institute of Oceanography to conduct research evaluating marine biological resources and develop solutions for rational exploitation and sustainable development of Ly Son and the surrounding areas; participated in implementing two models for seaweed restoration and releasing economically valuable marine species; guided businesses to register for the plastic bottle reduction programme; and reached an agreement with the IUCN on marine debris monitoring.
Regarding law enforcement, Huynh Ngoc Dung, Director of the Ly Son Marine Protected Area, stated that in addition to installing 204 buoys to demarcate the functional zones of the Ly Son Marine Protected Area, the unit has coordinated with relevant agencies to conduct 155 sea patrol missions, resulting in penalties for 34 violations totalling 165.5 million VND.
Violations continue
Besides the achievements, Quang Ngai DARD notes that violations within the Ly Son Marine Protected Area continue to occur. The use of explosives and electric shock for fishing still takes place. Every day, there are hundreds of boats, basket boats and speedboats used by fishermen which are passing and anchoring within the protected area.
Preliminary statistics show that nearly 1,000 Ly Son fishermen, mostly elderly individuals and women with low education levels from poor households, who either lack fishing vessels or only have small vessels incapable of offshore fishing, depend on the waters around the island for their livelihoods. Meanwhile, providing vocational training, occupational transition and alternative livelihoods for these residents remains challenging.
![]() |
| Sand mining for onion and garlic cultivation is affecting coral reefs and seagrass beds. |
Notably, in recent years, Ly Son has been rapidly urbanising, with some economic sectors developing too quickly and without proper planning, leading to ecological imbalance, environmental landscape destruction, and negative impacts on aquatic species’ habitats. Additionally, the extraction of sea sand for onion and garlic cultivation is one of the causes of coastal erosion, affecting coral reefs and seagrass beds. Furthermore, pesticide residues from onion and garlic farming have been polluting the water environment, affecting the habitat of aquatic species.
“The Ly Son Marine Protected Area, one of Quang Ngai’s precious gems of marine biodiversity, is home to more than 700 species of marine flora and fauna, including 157 coral species, 202 fish species, 137 seaweed species, and 6 seagrass species. However, unsustainable fishing practices, overexploitation, climate change, and environmental pollution have caused a significant decline in living coral cover and seagrass beds,” said Huynh Ngoc Dung.
![]() |
| The live coral cover and seagrass beds of the Ly Son Marine Protected Area have been severely degraded and require enhanced protection. |
Promoting the value of the marine protected area
According to Nguyen Duc Binh, to minimise the risks of harm, the development of a management plan for the Ly Son Marine Protected Area with a vision toward 2030 is crucial to address emerging issues in task implementation while establishing basic foundations to continue maintaining and protecting biodiversity in the Ly Son Marine Protected Area.
Based on recommendations from Quang Ngai DARD, the province has recently approved a plan with the general objective of managing, protecting and preserving natural resource values, the environment, biodiversity, and cultural heritage values; rational exploitation and promotion of values within the Ly Son Marine Protected Area; improving and enhancing the lives of communities living in and around the protected area; and serving sustainable ecotourism development in Ly Son.
![]() |
| Monitoring seagrass beds in the Ly Son Marine Protected Area. |
Accordingly, by 2030, the goal is to achieve approximately 30% coverage of living coral; increase seaweed and seagrass ecosystem area to 70 hectares; protect endangered and rare species at risk of extinction as prioritised under the IUCN Red List and Vietnam Red List; and encourage 100% of tourism businesses in Ly Son to participate in natural resource conservation, environmental protection, and ecological tourism development within the Ly Son Marine Protected Area.
To implement these objectives in an effective manner, the province requires relevant provincial departments and Ly Son District to urgently develop and complete the institutional framework; research, conserve, regenerate and restore ecosystems; promote communication and raise awareness in the community about biodiversity conservation linked to environmental protection and climate change adaptation; implement law enforcement programmes; and support sustainable community livelihood development and occupational transitions.
![]() |
| Protecting coral reefs and marine vegetation is an urgent issue for biodiversity conservation in the Ly Son Marine Protected Area. |
“The implementation of the Ly Son Marine Protected Area management plan until 2025, with vision toward 2030, must ensure balance between economic development and conservation goals as well as harmonise interests between stakeholders in managing and utilising the values of Ly Son Marine Protected Area, based on community benefits," noted Quang Ngai Vice Chairman Tran Phuoc Hien.





